In my recent article documenting Hurricane Harvey, I pointed out the remarkable connection between the historic storm and President Trump renewing Israeli-Palestinian “Peace” talks. In the SAME DAY (even the SAME HOURS) that Trump’s team, led by his son-in-law Jared Kushner, met with Israeli and Palestinian leaders to restart the talks, the most powerful hurricane to strike America in over a decade officially formed. The monster Category 4 “Harvey” ended up living up to its hype.
The record-shattering hurricane was the longest a Texas landfalling hurricane remained a named storm after landfall since 1971. The storm poured over 50 inches of rain, the greatest amount ever recorded in the Lower 48 states from a single storm. Harvey is expected to be the most expensive storm in U.S. history at over $190 billion, surpassing Hurricane Katrina. Also, climatologists have called Harvey the worst rainfall event in America’s history.
In my preceding article about the Total Solar Eclipse and its undeniable connection with Jerusalem, I explained why I believed that the Eclipse was a Divine warning to America’s leadership concerning Israeli-Palestinian “Land-for-Peace”. I documented numerous connections between the Eclipse and Israel’s Eternal Capital City.
I warned that if Trump continues to try to force Israel back into “Peace Talks” (which includes dividing Jerusalem on the negotiating table), Almighty God would judge and DIVIDE America. The Holy Bible is crystal clear that the division of Israel’s Land is what the LORD prophesies will bring His Wrath upon the nations. Sure enough, immediately after Kushner renewed the “Peace” negotiations between Israel and Palestine, America’s 1st Judgment for not heeding God’s Eclipse Warning DEVASTATED Texas.
While Harvey was still wreaking havoc on the Lone Star State, and surrounding States, another monster hurricane was forming in the Atlantic. Unfortunately, the President didn’t learn from Harvey to stop pushing “Land-for-Peace” on Israel. It was reported this week that Trump himself will meet with Israeli Prime Minister Netanyahu and Palestinian President Abbas on the sidelines of next week’s United Nations General Assembly in New York. His administration said the meetings will focus specifically on laying a foundation for the “Peace” talks.
Un-freakin-believable. Will America’s leaders ever learn?! Since Trump did not heed God’s Warning, and did not stop pushing “Land-for-Peace” after America’s 1st Judgment last week, it looks like another historic Judgment is about to fall. It also will make landfall in the U.S. on the first day of the week that Trump will hold his UN “Peace” meetings. The UNGA officially kicks off on Tuesday, September 12th. Irma will make landfall in the United States sometime on Sunday, September 10th.
The LORD has said in His Eternal Word of Truth that He will pour out fierce Judgments upon ALL the Nations that have a hand in taking Land away from Israel (JOEL 3:2). It is also prophesied, that not long thereafter, ARMAGEDDON (World War 3) will begin, and EVERY Nation that comes against Israel, and those who took part in dividing the Jewish Homeland, will be DESTROYED.
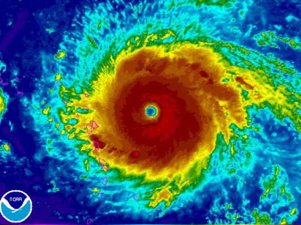
All of these so-called Christian leaders surrounding the President, and taking part in photo-ops praying over Trump, need to alert him to what God is trying to tell him! If they don’t, they may shoulder more blame than the President himself, who is obviously not an avid Holy Bible reader. I believe America’s second Judgment from The LORD is coming in the form of Hurricane Irma, which formed on August 30th.
The storm became a powerful Category 3 hurricane in just a matter of hours after forming. On the 31st, forecasters tracked Irma blowing winds near 115 mph. 4 days later, Irma strengthened to a massive Category 4 storm, with maximum sustained winds of 140 mph. Also on September 4th, Florida’s Governor Rick Scott declared a State of Emergency, as models showed the Sunshine State in the hurricane’s track.
As of September 5th, Irma became a Category 5 hurricane, one of the strongest storms ever recorded, packing 185 mph winds. The storm was so strong that it was showing up on seismometers (equipment designed to measure earthquakes). Following Florida’s lead, Georgia and South Carolina Governors declared States of Emergency. The next day, Irma slammed the Caribbean, destroying about 90% of structures and vehicles in Barbuda. It made landfall in the Caribbean as one of the strongest Atlantic storms ever recorded.
Throughout the 6th and 7th of September, the islands of St. Martin, St. Barthélemy and Anguilla were also battered by Irma. John McKendrick, the attorney general of Anguilla, said that the island suffered “huge devastation” from the storm. St. Martin was dealing with a similar level of devastation. The United States Virgin Islands saw the island of St. Thomas suffer significant damage from Irma. The island of Barbuda was reduced “to rubble,” according to the Prime Minister Gaston Browne.
As of September 8th, Hurricane Irma is wider than the ENTIRE State of Florida, and is one of the most forceful storms to hit the Atlantic basin in 82 years. Also, on Friday, Irma battered the Turks and Caicos Islands as it headed toward the southeastern Bahamas, where 20-foot storm surges are expected. The National Hurricane Center said Irma’s winds had dropped to 155 mph by Friday afternoon, but remained “extremely dangerous”, and would likely vacillate between Category 4 and 5 strength throughout the weekend on its approach to the Southeast U.S..
Irma has been a remarkably big storm, about 400 miles in length, with hurricane-force winds extending 70-100 miles from the center and tropical-storm force winds extending as far out as 185 miles. The National Weather Service has said that sustained tropical-storm-force winds would blow from Miami, all the way across the State, to Orlando. Irma has already broken global hurricane records.
It is the first storm ever observed, in any ocean, to sustain winds of 185 mph for longer than 24 hours. Irma maintained 185 mph for 37 straight hours. If Irma maintains its strength of at least a Category 4 when striking the U.S., it would mark the FIRST TIME on record that two Cat 4 or stronger hurricanes made landfall on America’s mainland in a single year.
It is also interesting to note, that the President has a lot of property in South Florida. Trump’s Mar-a-Lago Club, which he has christened the “Winter White House” in Palm Beach, as well as 3 Golf Courses in West Palm Beach, Jupiter, and Doral. Will the President and his administration FINALLY repent, and stop with the agenda to divide Israel’s God-given Holy Land? If not, I’ll be writing MANY “Judgment” articles in the future.
🌀 UPDATES 🌀
▫ On Friday night, September 8th, Irma began to rake Cuba. By 5 a.m. Saturday morning, due to the contact with land, the Hurricane’s winds slowed from a Category 5 to a Cat 4. By Saturday afternoon, it was downgraded to a strong Category 3 storm, but the massive storm is expected to strengthen again before striking the United States when it moves back into warm waters.
▫ Once Irma moves back over the water of the Florida straits, some of the warmest in the world (about 90 degrees), the storm is forecast to make landfall in the U.S. as a dangerous Category 4 hurricane with up to 140 mph winds.
▫ On Saturday, September 9th, Irma’s forecast track shifted west, putting the Florida Keys in its cross hairs. “In the FLORIDA KEYS, it is a full-scale hurricane emergency,” said Bryan Norcross, The Weather Channel’s hurricane specialist. “Key West is probably going to get its worst storm in modern history, and perhaps EVER.”
▫ This is no surprise to me that Key West, Florida will be the hardest hit land in the State. I used to lived in South Florida, and Key West is literally a modern-day “Sodom and Gomorrah”. They have been tempting The LORD and welcoming his judgment for decades, and I think that their Judgment Day has finally come.
▫ Irma has prompted one of the largest emergency evacuations in American history. Nearly 6 million Floridians have been ordered to leave their homes. “The storm is here,” Governor Rick Scott said on Saturday morning. He said in a press conference that the storm surge could reach 12 feet. “This will cover your house,” he said.
▫ The hurricane’s outer bands were already hitting the Florida Keys on Saturday morning, with winds of 130 mph., and the eye of the storm was not expected to hit southwest Florida for nearly another 24 hours. The low-lying Keys are extremely vulnerable to life-threatening winds, dangerous storm surge, or both.
▫ The Lower Keys are on track to get a direct hit from the hurricane, and the Middle and Upper Keys are vulnerable to storm surge of 5-10 feet. Alabama and North Carolina Governors joined Florida, Georgia, and South Carolina in declaring States of Emergency.
▫ Restrengthening overnight on Saturday to a Category 4 storm, Hurricane Irma slammed into the Florida Keys early Sunday morning packing 130 mph winds. The devastating storm made landfall on Cudjoe Key, the National Hurricane Center reported. About 9 a.m. Eastern time, the Lower Keys were directly in the eye of the storm. Irma’s arrival into Florida on Sunday, following Hurricane Harvey in Texas, marked the first time on record that two Category 4 Hurricanes had made landfall in the United States in the same year.
▫ In what is being described as eerie scenes in Key West, Fort Myers, and Tampa Bay, Irma’s tremendous power is actually sucking back the ocean itself before storm surges crash the waves over land again. In the Keys, the storm has pushed the ocean over roads and cities. Damage to the Keys has not yet been assessed, because though the worst of Irma has crossed over the area, winds are still gusting around 90 mph according to the National Weather Service. Even while the eye was over and near the Keys, the immense size of Irma has already brought tropical storm and hurricane force winds to Southern Florida.
▫ Hurricane Irma was “snapping trees like matchsticks” as far away as Fort Lauderdale, Miami and the surrounding cities. The spiral bands of the storm were bringing sustained winds of 50-70 mph to Southeast Florida on Sunday morning, and the worst of the storm has still not arrived. Wind gusts of 100 mph have been reported at the University of Miami, according to the Weather Channel. In Miami, one large construction crane snapped and crashed atop a highrise building. In the Fort Lauderdale area, the National Weather Service reported a 109 mph gust.
▫ By Sunday afternoon, over 1 million Floridians are without power, and the number is expected to double. Tornadoes have also swept across southeast Florida. Trees and street signs have been toppled, and storm surge was bringing large waves over barriers at coastal and intracoastal areas. On Sunday, Hurricane warnings cover the entire State of Florida except the western Panhandle, where a Tropical Storm warning is in effect which is likely to become a Hurricane warning in the near future.
▫ As Irma inches toward the mainland of Florida on Sunday afternoon, the State’s western coast is directly in the Hurricane’s path. Forecasters fear this storm will go down as one of the worst in Florida’s history. Winds in excess of 100 mph are expected to wreak havoc in large cities along the western coast, namely Naples, Fort Myers and Tampa. The coastal waters could rise 10-15 feet, inundating homes, businesses and roads. “The Keys through Tampa may experience the worst storm surge event that the area has seen in generations,” said a former Hurricane Center director.
▫ Hurricane and Tropical Storm conditions are predicted to spread into the Florida Panhandle, eastern Alabama, much of Georgia, and South Carolina by Monday. The National Weather Service in Atlanta issued a Tropical Storm watch for the city Monday and Tuesday for the first time in recorded history. Irma’s 2nd landfall is expected Sunday night near either Fort Myers, St. Petersburg, or Tampa. Still, the entire State of Florida is being affected by the large size of this monster storm, as Hurricane-force winds extend about 80 miles from the center, and Tropical Storm winds extend out for 220 miles. The entire State of Florida is under 400 miles wide from coast to coast.
▫ As Irma began pushing its way north on Sunday afternoon, South Florida continued to see flooding streets and tornadoes, and a second massive construction crane collapsed over Miami’s skyline. A tornado was reported at the Fort Lauderdale International Airport. The Hurricane has knocked out power to more than 2 million people across the State.
▫ Around 3:30 p.m. on Sunday afternoon, Irma made its second landfall on Marco Island as a Category 3 storm. The National Hurricane Center said Irma’s powerful eye roared ashore with 115 mph winds. Category 3 storms pack winds from 111 to 129 mph, but a 130-mph wind gust was reported by the Marco Island Police Department.
▫ Water levels are rising in Naples, Florida, from Irma’s storm surge, the National Hurricane Center said Sunday evening. A tide gauge in Naples reported a 7 foot rise of water in just 90 minutes. In other areas of Florida, as reported earlier, rivers and inlets were literally drained dry before being pushed back in by Irma’s strength.
▫ A wind gust of 142 mph was recorded at the Naples Municipal Airport as the storm kept its top sustained wind speed of 110 mph. By 5 p.m., Irma was downgraded to a Category 2 hurricane with maximum sustained winds of 110 mph near Naples, Florida.
▫ After the worst of the Hurricane made its way through the Florida Keys on Sunday, damage began to be assessed. Irma became the strongest to landfall near Key West in nearly 6 decades. A storm surge of 10-14 feet was reported on Cudjoe Key, in the Lower Keys of Florida as the eye barreled ashore.
▫ On Grouper Lane in Key Largo, vehicles were reported to be entirely under water. The storm knocked out power Keys-wide and damaged some of the Florida Keys Aqueduct Authority’s transmission lines, which may prevent the flow of fresh water to the Keys. Serious flooding was reported, and there were sunken boats in the Marathon area.
▫ A Key Largo restaurant and bar called Snappers, where a CNN reporter interviewed people on Thursday, is now “completely gone” according to the reporter who returned to the site on Sunday night. As of 12:00 a.m. Monday morning, about 3 million customers were without power Statewide.
▫ Much of the Florida Keys is “inaccessible”, on Monday morning, where Irma made landfall as a Category 4 hurricane on Sunday. Officials still have no idea how bad most of the damage there is. There is no electricity throughout the Keys, no cell service in the lower and middle Keys, and US 1, the only road that comes in and out of the Florida Keys, there are three “choke points”. Authorities plan to fly over the Keys sometime on Monday.
▫ Irma was downgraded to a Category 1 on Sunday night, but was still producing wind gusts of Categories 2 & 3 as it moved North. Orlando, on the complete opposite side of the State from where the monster Hurricane made landfall, was hammered early Monday with winds near 80 mph. In the suburb of Pine Hills, residents were rescued when 24 homes were flooded with waist-deep water.
▫ Jacksonville, the largest city geographically in the country, is experiencing record storm surge and catastrophic flooding. The city’s Memorial Park has become an “unrecognizable lake”. Winds have reached 90 mph at Jacksonville International Airport. The St. Johns River near Main Street Bridge in Jacksonville has experienced record storm surge flooding, not seen since 1864. At this level, extensive flooding of roads and structures will occur in the area. A storm surge of more than 5 feet has been measured along the St. Johns River at the Interstate 295 bridge.
▫ Damaging storm surge flooding was also reported in Flagler County. Waist-deep water from torrential rain was also seen in Palm Coast and in Daytona Beach. There was no city in the Sunshine State that escaped Irma’s assault. Around 6.5 million Floridians were without power as of dawn on Monday, over 60% of the State’s customers, according to Florida emergency officials.
▫ Early on Monday, Irma was downgraded to a Tropical Storm after leaving a wide trail of wreckage behind from coast to coast, and from South to North, in Florida. Even as a Tropical Storm though, it continued to pack 70 mph winds as it moved into Georgia. Hurricane-force winds still extended 60 miles from the center, and tropical-storm-force winds reached more than 400 miles.
▫ Damaging winds, flooding rain, and tornado threats moved into Georgia and the Carolinas on Monday, while continuing to slam parts of Florida. Flooding is likely in southeast Georgia, and Atlanta could see flooding as well. Wind gusts of 70 mph were reported in Georgia. Water has been reported “up to car doors” on U.S. 17 in Brunswick and homes have been flooded in Darien. Irma will move through southwestern Georgia and eastern Alabama through Monday night and into Tuesday.
▫ On Monday night, Charleston, South Carolina, saw a nearly 10-foot storm surge, while wind gusts reached 95 mph in Lakeland, Florida, and up to 90 mph in the Tampa Bay area. Nearly 7 million customers were without power in Florida, Georgia, North Carolina, South Carolina and Alabama on Tuesday morning. Florida’s Governor, Rick Scott, said that the storm left “devastation” on the Keys.
▫ By Tuesday morning, Irma became a tropical depression, as the storm made its way through the Southeast, bringing heavy rains to Alabama and Tennessee. The National Hurricane Center said that significant flooding would continue over the Florida peninsula for many days, and that Georgia, South Carolina and Alabama remained vulnerable to flash flooding.
▫ Hurricane Irma generated enough accumulated cyclone energy to meet the National Oceanic and Atmospheric Administration’s definition of a FULL Atlantic hurricane SEASON. By itself, it was more powerful than 18 of 51 full hurricane seasons since 1966. Irma was a Hurricane for 12 days. There are 12 Tribes of ISRAEL… coincidence? I think not.
▫ At least 25% of homes in the Florida Keys were destroyed, and at least 65% of homes suffered major damage from Irma, according to FEMA. That is 90% of the Keys.
“Thus saith The LORD; I will also gather ALL NATIONS, and will bring them down into the valley of Jehoshaphat (Judgment), and will JUDGE them there on behalf of MY people and on behalf of My Heritage ISRAEL.. for the nations have DIVIDED MY LAND.” – Joel 3:2
“For the day of The LORD is near upon all the heathen: as (the NATIONS) have done (unto ISRAEL), it shall be DONE unto (the NATIONS)…” – Obadiah 1:15
“Thus saith the LORD, In that day will I make JERUSALEM a burdensome stone for all people: ALL that burden themselves with it shall be cut in pieces (DIVIDED)…” – Zechariah 12:3
“It SHALL come to pass in that day, that I will seek to DESTROY ALL the nations that come against JERUSALEM, saith The LORD God.” – Zechariah 12:9
“JESUS said… upon the earth shall be distress of nations, with perplexity; the sea and the WAVES ROARING; Men’s hearts failing them for FEAR, and for looking after those things which are COMING on the earth.. And then shall they see ME (Jesus Christ) COMING in a cloud with Power and great Glory. And when these things begin to come to pass, then LOOK UP, and lift up your heads; for your redemption draweth NEAR.” – Luke 21:25-28
“Behold, a WHIRLWIND of The LORD is gone forth in FURY, even a GRIEVOUS whirlwind: it shall FALL grievously upon the head of the wicked. The ANGER of The LORD shall not return, until He has EXECUTED, and till He has PERFORMED the thoughts of His Heart: in the LATTER DAYS you shall consider it perfectly.” – Jeremiah 23:19-20 & 25:32/Nahum 1:3
“Behold, The Lord has a mighty and strong one, which as a tempest of hail and a destroying storm, as a FLOOD of mighty waters overflowing, shall cast down to the earth with the hand.” – Isaiah 28:2
“Thus saith The LORD; Behold, waters rise up out of the north, and shall be an overflowing FLOOD, and shall overflow the land, and all that is therein; the city, and them that dwell therein: then the men shall CRY, and all the inhabitants of the land shall HOWL.” – Jeremiah 47:2
“… He calls for the waters of the sea, and pours them out upon the FACE OF THE EARTH: The Lord is His Name.” – Amos 9:6





































































Amen Amen well said and biblically sound.
Stay Blessed and keep up the good work.
THE LORD IS COMING SOON
LikeLiked by 1 person
Winds and rain blowing hard in Tampa
LikeLiked by 1 person
The storm is heading to the center of a new and huge earth quake epicenter where the Mississippi the Ohio river come together. Divide the land? Thank you for your work. In HIM Bob.
LikeLiked by 1 person